Дотепер, подорожуючи приміським поїздом Ковель–Сарни, можна побачити з вікна вагона назву станції «Польська Гора». Найбільш допитливі прочитають її на військових топографічних мапах. Місцеві оперують нею, вказуючи напрям або розповідаючи, де найбільш грибні чи ягідні місця.

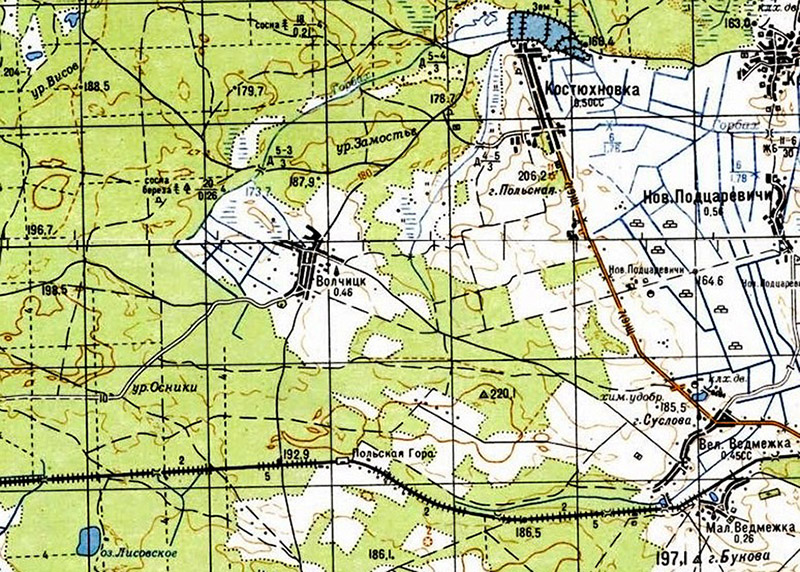
Фрагмент топографічної радянської мапи околиць Польської гори й однойменної залізничної станції
Назва «Польська гора» з’явилася понад 100 років тому і збереглася до сьогодні. Але це зовсім не означає, що історія походження цього єдиного «польського» топоніма на Волині усім відома.
У 1915–1916 рр. ці околиці були місцем запеклих боїв на австрійсько-російському фронті за участю польських легіонів, що воювали у складі австро-угорської армії. Восени 1915 р. усі три бригади легіонів об’єдналися на Волині та вперше разом вступили в бій.
На початку листопада 1915 р. поляки отримали наказ здобути пагорб Цегельня південніше Костюхнівки. Перша спроба здобути висоту виявилася невдалою і трагічною за своїми наслідками – людські втрати склали половину особового складу. І хоча через кілька днів пагорб здобули без значних втрат, це був перший кривавий бій польських легіонерів у цій війні. Австрійське командування, віддаючи шану полеглим і висловлюючи своє захоплення відвагою легіонерів, прийняло рішення назвати цей пагорб Поленбергом, тобто Польською горою. Цю назву нанесли на штабні мапи та використовували з того часу у військових зведеннях. Через кілька місяців, влітку 1916 р., під час наступу російських військ, біля Костюхнівки відбулася найбільша і найкривавіша битва за всю історію легіонів. Тому Польська гора до сьогодні сприймається як один із символів незалежності, яку Польща здобула через два роки після боїв на Волинському Поліссі.

Польські легіони в окопах перед Костюхнівською битвою (фото з сайту ФК «Легія», заснованого в 1916 р. під Костюхнівкою)
У міжвоєнний період Польська гора була важливим меморіальним об’єктом і місцем польського патріотичного паломництва. Перші офіційні урочисті заходи відбулися тут у 1928 р. із нагоди десятої річниці польської незалежності. Урочистості були заплановані з небаченим розмахом. Для приїзду 3 тис. гостей Міністерство комунікацій призначило спеціальні додаткові вагони до станції Чарторийськ – із Варшави Кракова, Львова, Вільна, Кременця та Луцька, надаючи всім учасникам заходів знижки на проїзд у розмірі 66 %. Власне тоді сусідню станцію Вовчецьк перейменували на Польську Гору. Місцева влада відкрила на станції Чарторийськ два ресторани та забезпечила безперебійну доставку учасників кінним транспортом до місця проведення урочистих заходів біля Польської гори.
Під час святкувань відбулися спортивні змагання – 120-кілометровий забіг на трасі Ковель–Польська гора та командний марафонний забіг на трасі Колки–Польська гора, які започаткували традицію, що тривала до 1939 р. В обох забігах тоді взяли участь біля 2 тис. осіб. Участь у цих спортивних змаганнях брали, зокрема, команди збройних сил, прикордонної служби, поліції, пожежної охорони, стрілецьких братств, товариств військової підготовки, скаутських організацій, ветеранських спілок.
Під час заходів у 1928 р. відкрили, збережений до сьогодні, базальтовий монумент біля підніжжя Польської гори та прийняли рішення про спорудження на її вершині меморіального кургану – так званого копця. Однак будівельні роботи розпочалися лише в 1933 р.
На початку 1930-х рр. в околицях Польської гори розпочали маркування туристичних маршрутів під Костюхнівкою та продовжили облаштування військових цвинтарів. Раніше у Варшаві видали розлогий ілюстрований туристичний путівник із детальним описом околиць і прокладених туристичних маршрутів та точними топографічними мапами. Загалом на багатьох некрополях встановили понад 2500 бетонних надгробків. Окрім прокладання та маркування мережі туристичних маршрутів, тут відтворили найважливіші польові укріплення, розмістили близько півсотні вказівників і інформаційних таблиць, а в окремих місцях встановили вісім двохметрових базальтових обелісків, що позначали місця перебування Юзефа Пілсудського. Частина цих стовпів збереглася до наших днів. На усій території таким чином створювався своєрідний музей просто неба – Скансен поля Костюхнівської битви.

Мапа меморіальних місць на полі Костюхнівської битви з туристичного путівника, виданого у Варшаві в 1928 р. (фото з польського цифрового архіву «Polona»)
Найбільшими ювілейними урочистостями на Польській горі стало відзначення двадцятої річниці Костюхнівської битви за участю 15 тис. осіб. Як і в 1928 р., до станції Чарторийськ призначили додаткові вагони з усіх найбільших польських міст. До ювілею виклали бруківкою 10-кілометровий відрізок дороги від залізниці до Польської гори. Для перевезення учасників задіяли автомобілі й десятки фурманок, розгорнули 25 польових кухонь та багато буфетів, викопали два колодязі з питною водою, організували ярмарок народних виробів, відкрили тимчасове поштове відділення. Польське радіо транслювало перебіг урочистих заходів, на місці працювали десятки журналістів і фотокореспондентів з усієї Польщі.

Листівка, надіслана з Польської гори в дні 20-річного ювілею битви 6 липня 1936 р. (фото з польського цифрового архіву «Polona»)
Головним пунктом програми святкувань було відкриття нової школи у Костюхнівці. Рішення про будівництво школи імені Польських легіонів прийняли ще в середині 20-х рр., саме тоді була створена спеціальна фундація, а основними інвесторами будівництва стали ветерани і громадські організації. Проєкт школи у модному на той час стилі конструктивізму безкоштовно виконав луцький архітектор та колишній легіонер Юзеф Новак. Він також керував будівельними роботами, вартість яких становила 44 тис. злотих. У приміщенні школи відкрили туристичну базу, розраховану на 20 осіб. Того ж дня відбулося урочисте відкриття недобудованого копця на Польській горі – основного об’єкту всього Скансену поля Костюхнівської битви.

Базальтовий монумент біля підніжжя майбутнього копця на Польській горі, 1928 р. (фото з польського Національного цифрового архіву)

Сучасний вигляд монументу на фоні Польської гори, що поросла лісом (фото зі сторінки «Centrum Kostiuchnówka» y Facebook)

Візуалізація будинку школи з проєкту архітектора Юзефа Новака, 1937 р. (фото з місячника «Wołyńskie Wiadomości Techniczne»)

Школа імені Польських легіонів в Костюхнівці на фоні Польської гори, 1936 р. (фото з польського Національного цифрового архіву)
Відповідно до проєкту архітектора Станіслава Сікорського та інженера Стефана Любінського, Польська гора повинна була здійматися на 25 м і мати 75 м у діаметрі основи. Біля підніжжя також планували збудувати музей.
До 20-річчя битви встигли підняти вершину копця на висоту 16 м. Ця позначка з абсолютною висотою 206,2 м зафіксована на сучасних топографічних мапах. Завершення будівельних робіт було заплановано на 1942 р., однак початок війни унеможливив їх продовження.


Проєкт будівництва копця та музею на Польській горі в Костюхнівці, арх. С. Сікорський, інж. С. Любінський, 1928 р. (фото з місячника «Przegląd Wołyński»)
Початок спорудження копця на Польській горі, 1933 р. (фото з польського Національного цифрового архіву)

Копець на Польській горі в Костюхнівці в день відкриття, 1936 р. (фото з польського Національного цифрового архіву)
Після Другої світової війни практично всі сліди історичного скансену були знищені, частково були зруйновані військові цвинтарі й базальтові обеліски. Довоєнну школу в радянські часи перебудували, через що вона втратила свій первинний вигляд.
У 90-х рр. харцери з польського Зґєжа взяли опіку над усім історичним комплексом у районі Польської гори. Протягом 20 років у лісі під Костюхнівкою діє літній харцерський табір, до якого останнім часом приєднується багато українських молодіжних організацій. За ці роки харцери відновили тут кільканадцять військових цвинтарів, віднайшли і впорядкували нові поховання та братські могили, відновили знищені і втрачені пам’ятні знаки, створили музей. У 2010–2011 рр. занедбаний будинок колишньої школи в Костюхнівці передали новоствореному польсько-українському Центру діалогу «Костюхнівка». Ґрунтовну перебудову й модернізацію об’єкту профінансувала польська сторона.
Колишня школа в Костюхнівці, побудована в 1936 р. Фото 2008 р. зі сторінки «Centrum Kostiuchnówka» y Facebook
Центр діалогу «Костюхнівка», перебудований із колишнього шкільного приміщення. Фото 2015 р. зі сторінки «Centrum Kostiuchnówka» y Facebook
Польща і сьогодні вшановує в цьому місці на Волині здобуття своєї незалежності. Щороку напередодні Дня Незалежності 11 листопада в Польському лісі під Костюхнівкою запалюють символічний вогонь, який харцери велосипедною естафетою доставляють на центральні заходи до Могили невідомого солдата у Варшаві, передаючи його всім містам на маршруті естафети.

Історична реконструкція Костюхнівської битви в рамках відзначення її сотої річниці. 2019 р. (фото Романа Павлюка)

Один із відновлених обелісків, 2018 р. (фото зі сторінки «Centrum Kostiuchnówka» y Facebook)

Військовий некрополь під Костюхнівкою, 2018 р. (фото зі сторінки «Centrum Kostiuchnówka» y Facebook)
Сьогодні Польська гора майже повністю поросла лісом, вона фактично не проглядається з відстані, але відтоді так і не змінювала своєї назви.
Роман ПАВЛЮК
ЧИТАЙТЕ ТАКОЖ: